продам земля

Харківська область
15'000 USD
15000 за м2
Код: 887225478
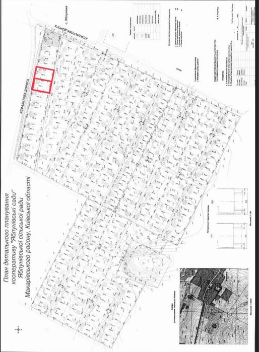
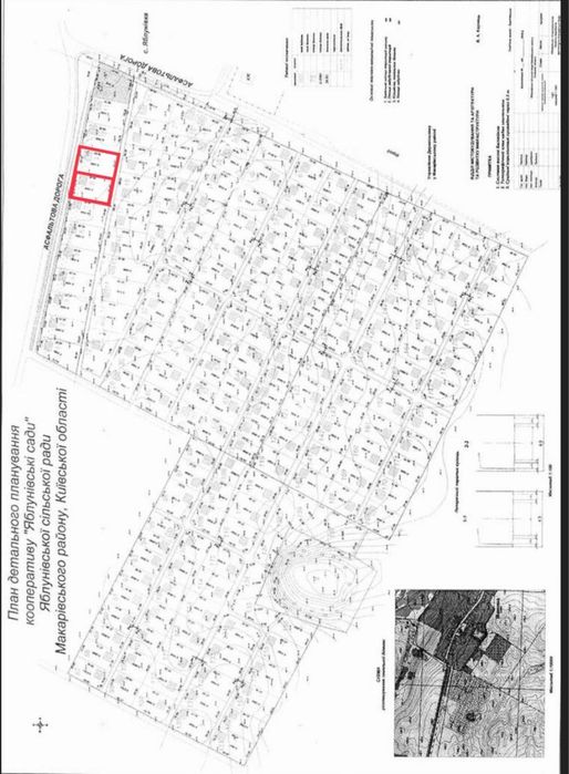
Кадастровий номер: 3222788900:05:002:0032
Земельна ділянка: 20 сот
Цільове призначення: інше
оновлено: 23 жовтня
Продам ділянку під забудову. Яблунівські сади, Макарівський район; Продам участок 20соток уже построевщегося обжитого дачного поселка «Яблунівські сади-1», что примыкает к с. Яблунівка в Макаровском районе в 35км от Киева, в живописном месте: сосновый лес, озеро, р. Ирпень, электричество , газ вдоль участка, дорога укатанный гранотсев, со столбами осевещения улиц, пост охраны поселка, Хозяин. Продаются два участка рядом. Каждый по 10сот Предлагайте свою цену - будем договариваться. Яблунівські сади, Макарівський район 20 соток До ділянки йде хороша дорога, освітлення, відеоспостереження та охорона 24/7. Дуже красиві види, чудові розташування Електрика підведено до ділянки та газ У селищі гарна інфраструктура: магазини, дитячий садок та школа. Зручно діставатися як машиною, так і маршрутками.