продам земля

Київська область Києво-Святошинський район,  село Стоянка
Показати на карті
76'000 USD
76000 за м2
Код: 892587309
Кадастровий номер: 3222482000:10:001:0008
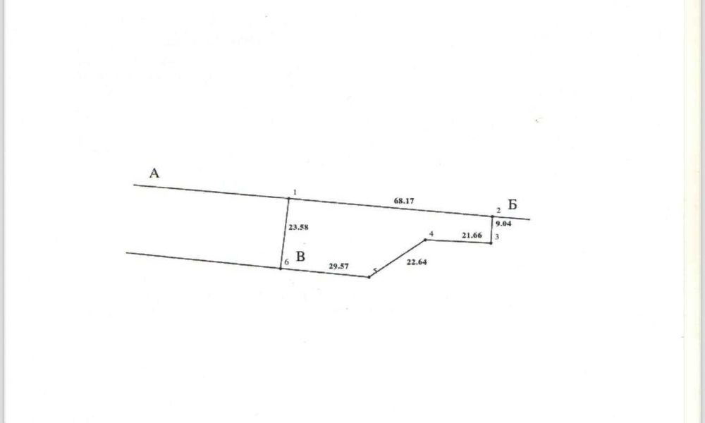
Земельна ділянка: 12 сот
Цільове призначення: інше
оновлено: 25 жовтня
Ділянка 12 соток, Стоянка 1 біля лісу, індивідуальне садівництво.; Продається ділянка 0.12 Га, біля с/т Ірпінь (до садового товариства не відноситься), в тихому та спокійному місці. Призначення: Індивідуальне садівництво ( дозволене будівництво ). Комунікації: Виділено 10 Кв світла, газ по вулиці є можливість підключення. Податки за переоформлення 50/50. Ділянка розчищена під будівництво поруч з лісом, на ділянці є власні дерева. За рахунок форми ділянки є можливість зробити окремий заїзд, по карті можете побачити відстань від центральної дороги. Ідеальне місце для приватного будинку. Сусіди будуються. від ділянки до круга Ірпінь 6 хв до м. Житомирська 15 хв. можливий торг.