продам будинок

Дніпропетровська область Новомосковський район,  село Орлівщина
Показати на карті
19'990 USD
333 за м2
Код: 843972307
К-ть кімнат: 3
Поверх: 1
Площа: 60 м2
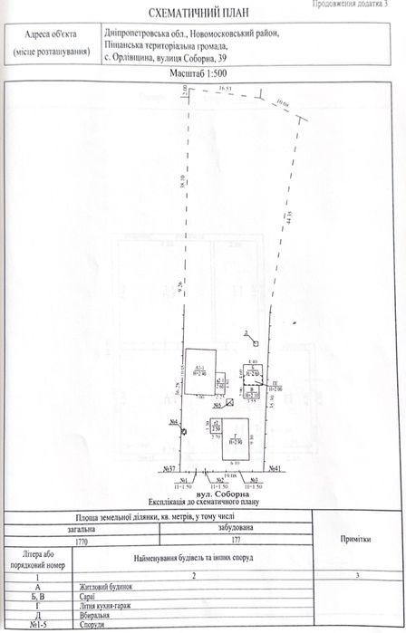
Земельна ділянка: 18 сот
оновлено: 25 квітня
Продам будинок Орлівщина; Продам домоволодіння біля центру Орлівщини (18 соток, асфальтована вулиця) Продається домоволодіння у хорошому місці села — 700 м до центру по центральній асфальтованій вулиці. Поруч магазини, лікарня, зручний під’їзд. До річки — приблизно 500 метрів, поруч також ліс. Тихе та зелене місце, добре підходить як для постійного проживання, так і для дачі, майстерні або бізнесу. Ділянка — 18 соток. На території є дві будівлі: • будинок 2кімнати+прихожа, у якому можна проживати • другий будинок — частково нова добудова з газоблоку з новою двоскатною м’якою покрівлею, під реконструкцію або розширення житла Комунікації: • централізована вода(заведена в обидні будівлі) • електрика 380В (3 фази, день/ніч) • швидкісний інтернет • каналізація (септик) • газопровід проходить біля паркану — можна підключити Також на території: • гараж • сарай • погріб Місце має багато можливостей: можна зробити комфортне житло, дачу для відпочинку, майстерню або будь-який бізнес. Документи на будинок і землю повністю оформлені (приватизація).