продам земля

Львівська область Стрийський район,  село Заплатин
Показати на карті
17'000 USD
17000 за м2
Код: 820499901
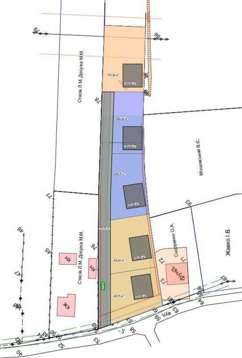
Кадастровий номер: 4625388800:01:020:0018
Земельна ділянка: 38 сот
Цільове призначення: інше
оновлено: 11 березня
ділянка Заплатин, Стрий 38сот.; 38сот.земельна ділянка 3км від Стрия, Заплатин вул Дуброва, зручне розташування - початок села, 25сот під індивідуальне житло та 13 сот під город. ділянка дозволяє збудувати декілька таунхаусів з окремими подвір'ями або спарений котедж на 2сімї, можемо допомогти з проектом будинку. комунікації проходять попри ділянку (світло та газ)