продам земля

Чернігівська область ,  місто Ніжин
Показати на карті
150'000 ГРН
150000 за м2
1 / 3
Код: 660296469
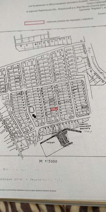
Земельна ділянка: 10 сот
Цільове призначення: інше
оновлено: 15 березня
Продам земельный участок под строительство; Земельный участок для строительства жилого дома, хозяйственных строений и сооружений. Участок в черте города Нежин(ул.Космонавтов/Черниговская/Лаборатория сканирующих устройств). Точный адрес: улица Веселая, 5. Возможен вариант обмена на автомобиль.; кадастровий номер: В наличии